蚊蝎蛉科
的有关信息介绍如下:
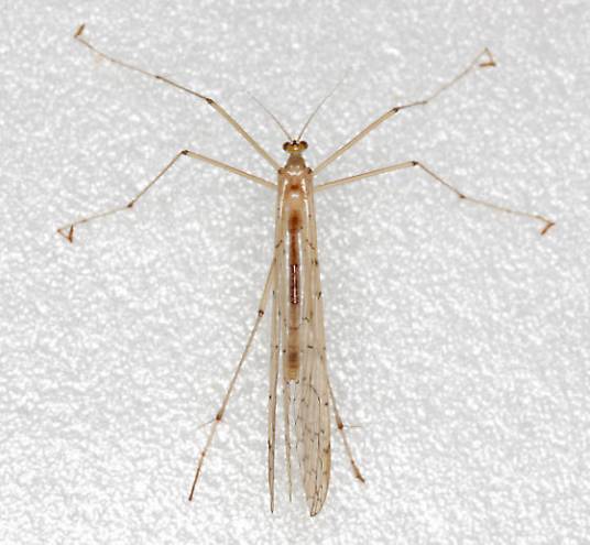
蚊蝎蛉科(学名:Bittacidae)是昆虫纲、长翅目的一个科。蚊蝎蛉科昆虫英文通称“hangingflies”,字面意思为“挂蛉”,因其成虫具有3对捕捉足,并常在不飞行时,用前、中足可抓握的跗节将虫体悬挂于植物叶片或枝条的边缘而得名。它们与双翅目的大蚊极其相似,但不同之处在于2对大小相似的翅,而大蚊的后翅极度退化成了1对平衡棒。因此,它们的中文俗称为“蚊蝎蛉”。在中国台湾,它们则被称作“拟大蚊”。
蚊蝎蛉科昆虫一般一年发生1代,以卵或幼虫滞育越冬。成虫大多于翌年5-8月羽化。 蚊蝎蛉科昆虫广泛分布于除南极洲之外的各大动物地理区。蚊蝎蛉属(Bittacus)是分布最广的属。其他各属大多局限于某些较狭窄的区域内。
(概述图参考来源: )
想要了解更多“蚊蝎蛉科”的信息,请点击:蚊蝎蛉科百科



